Är det omöjligt att komma överens med Harry Fredriksson i Leksand?
Jag överlämnade ett förslag till lösning av slakthusproblemet så tidigt som för nästan 20 år sedan. Detta gjorde jag i samband med avstyckning av tomt till förmån för jaktlaget (Molnbyggen Jakt Ekonomisk Förening) och bestämning av några fastighetsgränser omkring vilka det rådde oklarheter.
Förrättningen påbörjades år 1999 och genomfördes under ledning av lantmätare Leif Larsson.
Kvällen före första mötet (28 september 1999) som vi kallats till lade jag mitt förslag i ett kuvert adresserat till Leif Larsson. Jag lade kuvertet i postlådan vid entrén till Lantmäterikontoret. Jag ville ge lantmätaren en chans att tänka igenom förslaget innan mötet efterföljande dag.
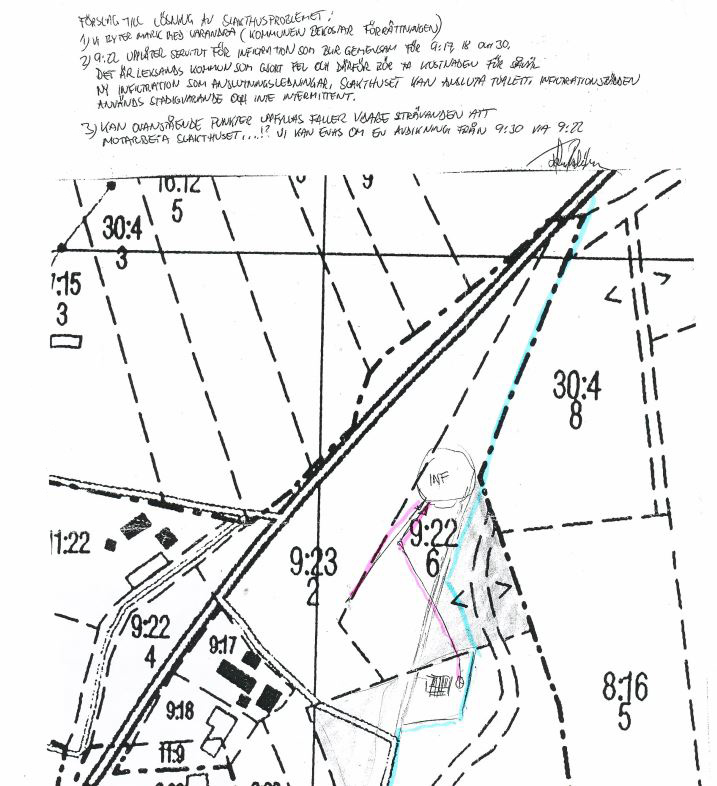
Förslag till lösning av slakthusproblemet:
1/ Vi byter mark med varandra (kommunen bekostar förrättningen).
2/ 9:22 upplåter servitut för infiltration som blir gemensam för 9:17, 18 och 30.
Det är Leksands kommun som gjort fel och därför bör ta kostnaden för såväl
ny infiltration som anslutningsledningar. Slakthuset kan ansluta toalett. Infiltrationsbädden
används stadigvarande och inte intermittent.
3/ Kan ovanstående punkter uppfyllas faller vidare strävanden att motarbeta slakthuset…!?
Vi kan enas om en avdikning från 9:30 via 9:22
Här finns förslaget med tillhörande karta
… Läs mer
När lantmätaren Leif Larsson redogjorde för förslaget vid mötet så framförde han också att han tyckte att det var ett bra förslag!
Men det passade inte de närvarande representanterna för Molnbyggen Jakt Ekonomisk Förening.
De uppfattade situationen som att förslagsställaren och lantmätaren hade ”pratat ihop sig” mot jaktlaget. Detta var olyckligt eftersom något sådant aldrig varit aktuellt.
Jaktlaget valde i stället att föra en lång kamp och påförde härigenom sig själva och undertecknad stora kostnader helt i onödan.
Förslaget från min sida framlades för snart 20 år sedan och har aldrig återtagits. Erbjudandet kvarstår om det finns intresse!
Förutsättning för att mitt förslag skall kunna genomföras är naturligtvis att Molnbyggen Jakt Ekonomisk Förening efter några decennier har läst på läxan, till sist insett och förstått, att Leksand kommun gjorde fel från början. Miljökontoret skulle inte ha beviljat bygglov för enskilt avlopp med infiltrationsanläggning på den plats där avloppet nu ligger.
En annan förutsättning är att kommunalråd Ulrika Liljeberg (C) svarar på mina frågor som redogjorts för i ”Sanningen bakom slakthusbråket – del 1″
Egenmäktigt förfarande inte ovanligt i Åkersbodarna
I oktober månad 2016 låg ett brev i min brevlåda.
Brevet kom ifrån Åkersbodarnas byförening med en begäran om att välja ett av två alternativ.
… Läs mer
Det visade sig att några fastighetsägare hade egenmäktigt borrat efter dricksvatten samt ”inmutat” ett område runt detta borrhål inom en samfällighet. Detta hade verkställts utan att berörda delägare i samfälligheten informerats och gett sitt samtycke.
Om Åkersbodarnas byförening medverkar till att Ulrika Liljeberg (C) svarar på mina frågor som redogjorts för i ”Sanningen bakom slakthusbråket – del 1″, så lovar jag att jag sätter min namnteckning under alternativ 2, dvs jag överlåter min andel.
Fortsättning följer…
Harry Fredriksson, ansvarig utgivare



