Hämndlystna jägare anlitar ohederlig och samvetslös advokat
Bakgrund (Reviderad 2018-02-28)
Korpholens jaktlag och Leksands kommun anlade ett enskilt avlopp med infiltrationsbädd vars utförande inte på någon endaste punkt var förenlig med Naturvårdsverkets föreskrifter. Dessutom löste jaktlaget sina egna dagvattenproblem genom att egenmäktigt utföra avdräneringsdikning som avslutades mot vår mark utan vårt medgivande. För att lokalt sänka grundvattennivån på platsen uppmanade Leksands miljöchef jaktlaget att gräva dikena 0,5 meter djupare. Han försökte på så sätt säkerställa att infiltrationsbädden inte skulle bli vattenfylld och därmed riskera att få stopp i avloppet.
Jag hade tidigare framlagt ett förslag till lösning av slakthusbråket. Förslaget förkastades.
Då återstod för mig att visa i skala 1:1 att vattnet i olovligt grävt dike hade ett direkt samband med avloppets infiltrationsbädd. Jag lät anlägga en jordvall som dämde upp vattnet i diket. Vattnet i slamavskiljaren steg till samma nivå som vattnet i diket. Det blev stopp i avloppet, vilket skulle bevisas.
… Se videofilm
Då utfärdade Miljökontoret ett beslut om förbud mot fortsatt användning av avloppet.
… Läs mer
Nu bestämde sig Molnbyggen Jakt Ekonomisk Förening för att ta advokat till hjälp för att lösa tvisten.
Advokaten träder in på spelplanen.
(Han uppger själv på sin hemsida att en av hans specialiteter är ”tvångsianspråktagande av mark”.)
Det visade sig att han utan betänkligheter började att ”fabricera” bevisning.
Från Leksands kommun deltog Olle Bergfors i arbetet med att förfalska bevis genom att ge ”upplysningar, vägledning, råd mm”. … Läs mer
I själva verket deltog Olle Bergfors i en konspiration för att förhindra att sanningen skulle bli offentliggjord. Vid ett möte 2004-05-07 vid slakthuset i Åkersbodarna framkom med all tydlighet att ”alla omfattande markarbeten som utfördes under år 2001 genomfördes under ledning av dåvarande Miljöchef Olle Bergfors (C)”!!
… Läs mer
Så här såg det ut på den aktuella platsen innan slakthusprojektet påbörjades

(Kartan upprättad av Leksands Orienteringsklubb 1985. Jag har markerat naturliga källor med pilar och lokaliseringen av infiltrationsanläggningen med en röd oval.)
Av kartan framgår att det inte existerade några bäckar eller diken i området före slakthusbygget!
Av överlantmätarens skrivelse framgår också att det i Lantmäterimyndighetens arkiv finns ”inga uppgifter om äldre diken på fastigheterna”.
Verkligheten
– inget som som jaktlaget, advokaten eller Leksands kommun tar hänsyn till
Jan Lindells intyg
Advokaten fick markägaren, Jan Lindell, att underteckna ett intyg av vilket det framgår att det på den angivna platsen skett avvattning via ”den gamla bäckfåran eller det gamla stensatta diket”. Här gör sig Jan Lindell skyldig till osant intygande.
… Läs mer
Konsult Jan Dahlin, J&W
Advokaten ger i uppdrag till en konsult att beskriva situationen vid slakthuset 24 maj 2002. Också detta dokument innehåller en rad felaktigheter. Exempelvis står skrivet under rubriken ”Grundvatten”:
”Grundvattenytans nivå låg vid besökstillfället och även vid anläggningstillfället (styrkt genom fotografier) på mer än ca 2-2,5 under marknivån.”
… Läs mer
Jag har vid upprepade tillfällen begärt att få se dessa fotografier! De påstådda fotografierna har aldrig framvisats. Allt tyder på att de aldrig existerat.
Jag själv har däremot fotograferat/dokumenterat vid många tillfällen. Här nedan är ett foto som togs när dricksvattenbrunnen grävdes. Året var 1996. I brunnen finns nedsänkt en elektrisk pump. Det var inte möjligt att gräva denna brunn utan att samtidigt pumpa bort vatten.
Det andra fotot visar byggplats som röjts och förberetts för byggnation. Inget dike synligt så långt ögat kan se!
Anmärkning: Varför är jaktlaget och advokaten så angelägna om att bevisa att Leksands kommun lagt avloppet i en befintlig bäck? Det är väl illa nog att avloppet lades i en sänka, direkt i grundvattnet?


Denne konsult är ett exempel på att det går att få intygat vad som helst om ersättningen är den rätta.
Sammansvärjningens syfte
Jag hade dämt upp egenmäktigt grävda diken – nu gällde det för advokaten att bevisa att dikena alltid hade funnits.
Det resultat som eftersträvades var naturligtvis hävning av rådande beslut om förbud mot användning av avloppet.
(Han misslyckades med detta!)
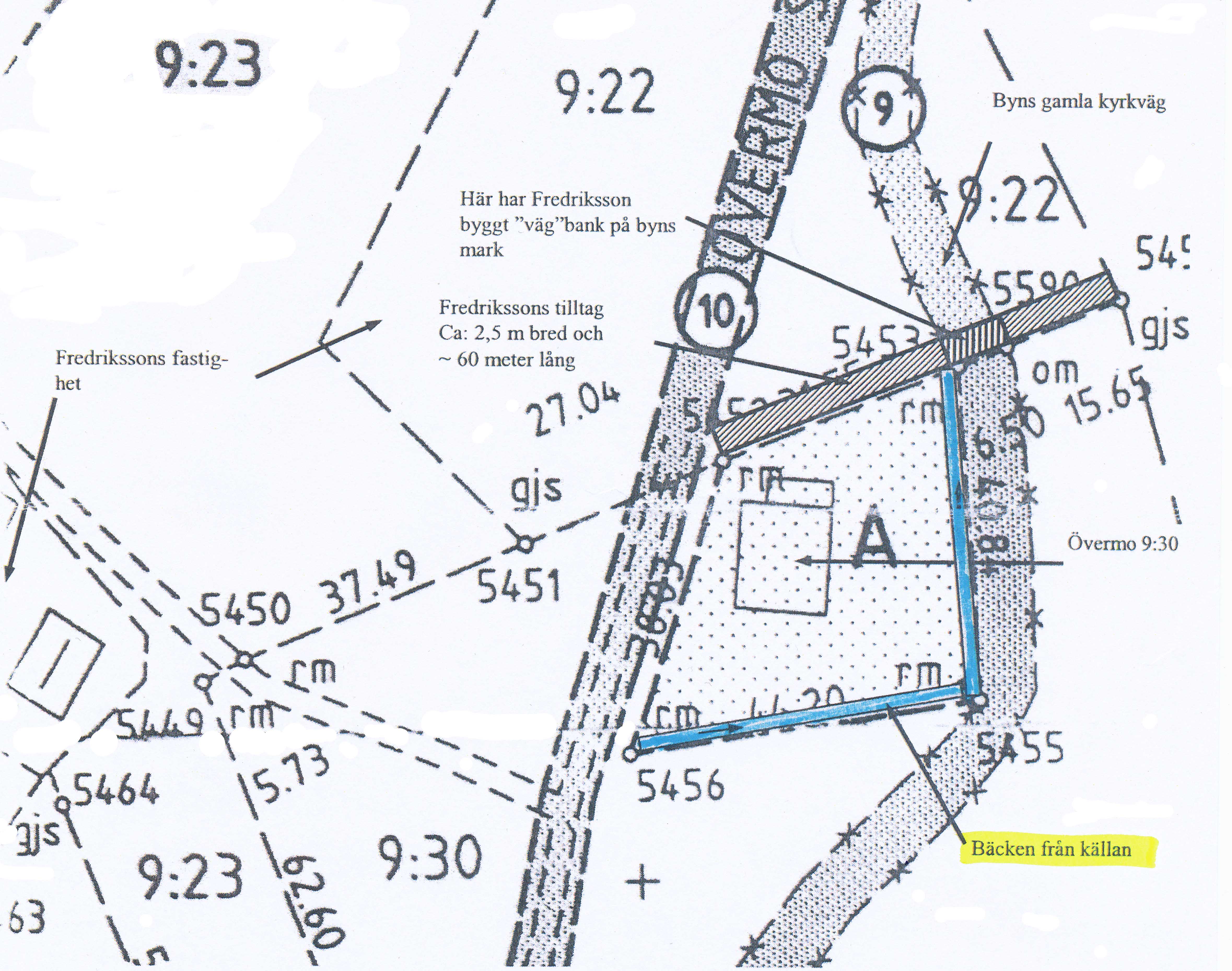
2001-05-05 framlade jaktledaren, Olle Sjöholm, nedanstående karta med noteringar

Helt plötsligt hade egenmäktigt grävda diken blivit ”Bäcken från källan”!
Det finns också fler lögner på kartan.
2002-08-23 framlades en ny karta, denna gång från advokaten

Den ena handen visste bevisligen inte vad den andra handen hade gjort ett år tidigare!?
Nu hade fantasin nått nya höjder!
Det räckte naturligtvis inte med detta utan advokaten gav i uppdrag till lantmäteriingenjör Hans-Åke Olén att upprätta en situationsplan på befintliga och tidigare förhållanden. Det är märkligt att en myndighetsanställd nedlåter sig till att utföra detta arbete. Men å andra sidan så finns det folk till vad som helst om betalningen är den rätta…
Advokaten ville naturligtvis ge ärendet en officiell prägel så att det skulle bli ett starkt kort i Tingsrätten.

Nu blev det ju inte så. Överlantmätaren i Falun beklagade det inträffade i en klarläggande skrivelse som också slår fast att det inte finns några uppgifter om äldre diken på fastigheterna.
… Läs mer
Några diken finns inte på Orienteringsklubbens karta, inte heller några uppgifter om diken i Lantmäteriets arkiv!
Däremot i advokatens, jaktlagets och Leksands kommuns tillvaro, fylld av hämndbegär – där fanns det diken!
Inte bara ett utan två. Dikena korsar dessutom varandra och rinner åt olika håll. Fantastiskt!
Oförståeligt att denna attraktion inte saluförts av kommunens turistbyrå som en enastående sällsynthet, rent av ett äkta underverk!?
Här är en bild som hämtats ur en videofilm från 1997 (Filmen kan ses här)

Kameran står på den plats där påstådda diken korsar varandra. Det egenmäktigt grävda diket som kommer från vägen och svänger nedåt till höger på bilden påstås vara ”bäcken från källan” och har redovisats på karta av lantmäteriingenjör på sådant sätt att ”bäcken från källan” fortsätter i pil B:s riktning, rakt ner mot mitten av fotot.
”Den gamla stensatta bäcken” ansluter här vid pil A och korsar ”bäcken från källan” hävdar konspiratörerna . (Eller var det tvärtom?)
Ett foto som hämtats ur en videofilm innan arbeten med att förfalska bäckar påbörjades. Inga naturliga, befintliga bäckar synliga!
År 2002 konstruerades ”den gamla stensatta bäcken”. Den anlades under ledning av jaktledaren som vid den tiden fungerade som trädgårdslärare vid Naturbruksgymnasiet i Rättvik (sonen? är polis och deltagare i jaktlaget). Nu fick han möjlighet att visa sina färdigheter inom sitt yrkesområde.
Det räcker ju inte med detta utan när det nyanlagda diket fått lite berikande vegetation var advokaten på plats och fotograferade.

Enligt advokatens anvisningar och med hjälp av miljökontorets ”upplysningar, vägledning, råd mm” har konspiratörerna nu gemensamt förvanskat verkligheten genom att fabricera och förfalska bevis att använda i rättsprocess mot undertecknad!
Här är en bild som visar det egenmäktigt grävda diket från ”bäckkorsningen” ner mot vår mark där diket avslutats.
Här är en bild på dikets avslutning. Bilden är tagen ifrån vår mark nedströms diket.
Advokaten besitter sådan fräckhet att han också lät lantmäteriingenjören markera ”den gamla stensatta bäcken” även nedanför detta dikesavslut. Han hävdade samvetslöst och lögnaktigt att här har funnits en bäck!
Så här långt in i historien om sanningen bakom slakthusbråket kan en delsummering göras.
En advokat (ansluten till Advokatsamfundet), ett jaktlag (varav en person är polis) och Leksands kommun har det gemensamt, att de alla saknar heder, empati och respekt för andra människors egendom.
En tjänstledig åklagare (kommunalråd Ulrika Liljeberg, Centerpartiet) försöker mörka hela ärendet genom att inte svara på skrivelser. …Läs mer
Fortsättning följer…
Harry Fredriksson, ansvarig utgivare
infocentrum.se är en grundlagsskyddad webb-tidning






